십자인대 특화센터
부산 24시 동물병원 연산동물의료센터의
전문 특화 진료를 통해 아이들의 건강한 일상을 약속합니다.
무릎을 지탱하는 핵심 인대,
전십자인대 단열이란?
전십자인대(Cranial Cruciate Ligament) 단열은 무릎 속 인대가 부분적으로 또는 완전히 찢어지거나 박리된 상태를 말합니다.
이 인대가 손상되면 무릎 관절에서 정강이뼈가 앞쪽으로 밀려 불안정해지며, 외상이나 슬개골 탈구, 퇴행성 관절염, 비만 등 다양한 원인으로 발생할 수 있습니다. 이러한 손상은 반려동물에게 기력 저하, 산책 거부, 절뚝거림, 통증 호소와 같은 증상으로 나타나며, 조기 진단과 치료가 이루어지지 않으면 만성 관절 질환으로 이어질 수 있습니다.
- #기력 감소
- #보행 거부
- #통증 호소
- #절뚝거림
- #한쪽 다리를 들고 걷는 모습
정확한 진단 최적의 치료법
연산동물의료센터는 전십자인대 단열환자에게 최적의 치료 솔루션을 제공합니다.
십자인대 프로세스
-
01십자인대 검사(Drawer test)십자인대 단열이 의심되는지 면밀히 검사합니다.
-
02X-ray 검사무릎 관절을 체크하고,십자인대 단열을 확인합니다.
-
03수술/비 수술적 치료 계획현재 기저질환이나 나이 등 아이의 상태를 파악한 뒤, 현재 아이의 상태에 따라 수술/비수술적 치료 계획을 수립합니다.
-
04수술 전 각도 조정수술 전, 정확한 각도 조정 수술 계획을 수립합니다.
-
05수술안전하고 정밀한 호흡 마취와 함께 수술을 진행합니다.
수술 후 관리 / 비수술적 치료
-
전침치료
-
레이저
-
수중재활
-
관절 주사
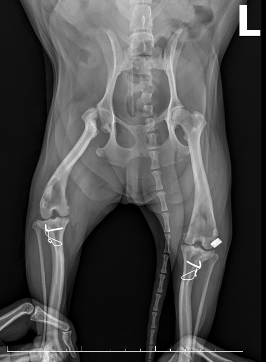
치료사례
정밀 진단부터 맞춤 치료까지, 반려동물 심장 건강을 지킵니다.
-
TPLO 십자인대 수술절뚝거리는 증상으로 내원!
TPLO 수술 후 건강한 일상으로 복귀 -
ECS 노령견 십자인대 수술기저 질환을 가지고 있는 노령견,
안정성을 더한 맞춤 수술 케이스 -
MPL, TPLO 슬개골 탈구 + 십자인대슬개골 탈구 수술과 십자인대 수술
동시 진행 케이스